More Information
ONLINE ONLY FORECLOSURE AUCTION
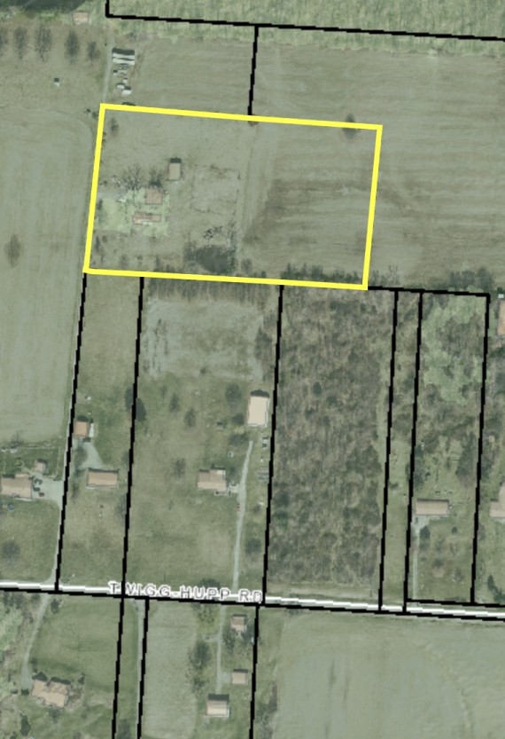
8903 Twigg Hupp Rd.
Sunbury, OH 43074
Bidding Ends
June 17, 2025 @ 10:00 AM
Property Description: This 5.003 acre parcel has several buildings. The property is accessed via a 60’ easement from Twigg Hupp Rd.
Delaware County PID: 517-300-01-018-000
Loan # *******- ******
Appraised Value: $249,000
Minimum Bid ONLY $166,000
Case Information: Delaware County Case # 2024CVE040338. The Richwood Banking Company vs. Maria V. Riedmiller, et al.
ONLINE BIDDING NOTES:
Bid Increment: online bidding increment for this auction is $100.
Max Bid: When you place a bid, you can place a "Max Bid" and the automated bidding software will bid for you in $100 increments up to your maximum. You will be notified by email if your maximum is out-bid by another bidder.
Bid Extensions: If a bid is placed in the last 5 minutes before the scheduled auction end time, bidding will extend for an additional 5 minutes. Bid extensions will continue until a 5 minute period of time elapses after the stated auction end time with no advance in the bidding.
Ronald Denney, CAI - Private Selling Officer
(937)572-4468
Disclaimer: Information contained herein was obtained from sources deemed reliable. However, neither Ohio Sheriff Sales, LLC, Auctioneers, nor their agents will be responsible for any errors or omissions regarding information provided by same. Announcements made at the auction will take precedence over written material or any other statements made prior to the auction. Buyers should carefully verify all information and make their own decision as to the accuracy thereof before relying on same.
Lot Size: 5.003 Acres
Annual Taxes: $1,550
Plaintiff
The Richwood Banking Company
Defendant Name
Maria V. Riedmiller, et al
Attorney
Dinsmore & Shohl
Viewing Dates
No interior viewings. Please do not trespass.
Property Map
Basic Terms:
* This is a Foreclosure Auction ordered by the Delaware County Common Pleas Court. The foreclosure process intends to clear all liens and encumbrances on the subject property. You are encouraged to purchase Title Insurance at closing for an extra layer of protection.
* The property sells with a minimum opening bid of $166,000.
* The required deposit is $10,000.
* The successful bidder will be required to wire or direct deposit the above amount into the trust account of Ohio Sheriff Sales by 5:00 pm day of auction. If the deposit has not been made by stated time, the purchaser automatically authorizes Ohio Sheriff Sales to charge the credit card provided at the time of registration for the required deposit amount plus a 10% processing fee.
* The real estate is sold As-Is with no contingencies.
* Closing required within 30 days of court confirmation.
* No contract is signed after the auction. A one-page Purchaser Information Form is the only document that is required by the Court. See the Documents section of this listing for the form.
* A 10% buyer's premium will be added to the high bid to obtain the final selling price.
* Buyer pays all closing costs.
* Private Selling Officer Deed or equivalent given at closing.
* Provisional Auction Date: In the event the $166,000 minimum bid is not achieved on the first auction date, a second online auction will take place ending on June 24, 2025 @ 10:00 AM subject to no minimum bid.
* The purchaser shall be responsible for those costs, allowances, and taxes that the proceeds of the sale are insufficient to cover. This generally only comes into play when a property goes to the 2nd auction with no minimum bid, or the property sells for less than is owed for back taxes and court costs.
* BUYER DEFAULT: Be aware, if you are unable to close within 30 days of court confirmation, your deposit is non-refundable, and you could be liable for other costs and penalties including being found in contempt of court.
* CASH ONLY SALE: All sales are considered CASH ONLY with no contingencies. You MAY be able to obtain financing on properties where interior access is available. Banks and Mortgage Co’s will only lend on properties when they can receive an interior appraisal. Keep in mind, the purchase of the property is not contingent upon the result of the appraisal or being denied for financing. The property is being sold AS IS with no warranties or guarantees.
* BIDDING NOTES:
Bid Increment: Required bidding increment is $100 up to $50,000, then $500 up to $100,000 and $1,000 thereafter. Max Bid: When bidding, you can place a "Max Bid" and the automated bidding software will bid for you in the required increment up to your stated maximum. You will be notified by email and or text if your maximum is exceeded by another bidder. Bid Extensions: If a bid is placed in the last 5 minutes before the scheduled auction end time, bidding will extend back out to 5 minutes. Bid extensions will continue until a 5-minute period of time elapses after the stated auction end time with no advance in the bidding.
